"Türk semenderi"nin yüzlercesi su altında görüntülendi
AA
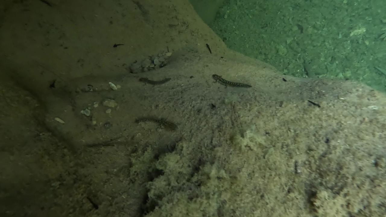
Diyarbakır'ın Hani ilçesinde nesli tükenme tehlikesi altındaki "Türk semenderi" olarak bilinen sarı benekli semenderlerin yüzlercesi su altında görüntülendi.
Hani ilçesinin Elazığ ve Bingöl sınırı yakınında bulunan kırsal Kaledibi Mahallesi`nin Güzelce mezrasında yörede "Laydazık" adı verilen çayın üzerindeki şelalenin oluşturduğu gölette Anadolu`nun bazı bölgelerinde sulak alanlarda nadir olarak görülen sarı benekli semenderlerin yaşadığı tespit edildi.
2
Göletin sarı benekli semenderlerin yaşam alanı olduğu, mezrayla sınırı bulunan Elazığ`ın Arıcak ilçesinden dağları, ormanları ve bitki örtüsüyle öne çıkan bölgeye gezinti için giden doğasever Mazlum Bayet tarafından belirlendi.
3
Su altında görüntülenen semenderlerden erişkin olanlarının siyah ve sarı benekli, yeni gelişmekte olanlarının gri tonlarda ve sarı beneklerinin belirgin olmadığı görülüyor.