Su altı tutkunları Saros Körfezi'nde tarihe dalıyorlar
DHA
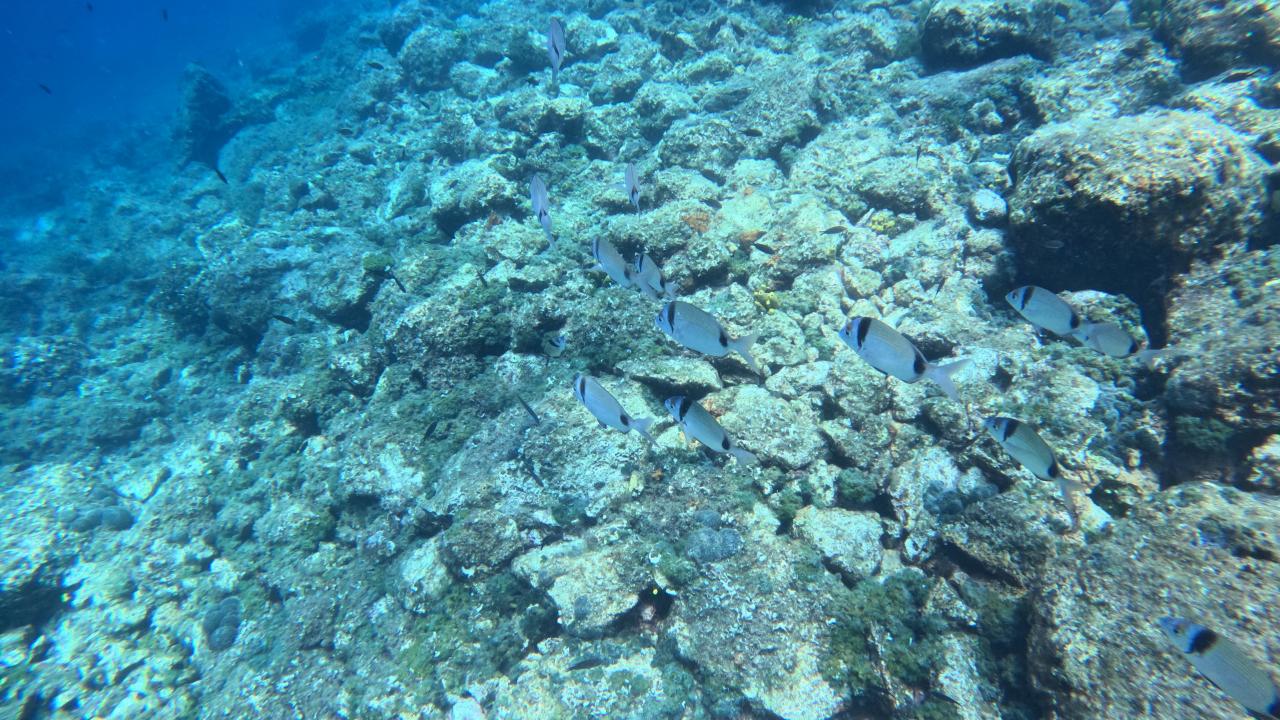
Edirne’nin Keşan ilçesinde, doğası, kendini temizleme özelliği ve berraklığıyla dikkat çeken Saros Körfezi, su altı canlıları ve batıklarıyla dalış turizminde dalgıçlardan ilgi görüyor.
Doğası, dip ve yüzey akıntılarıyla kendini temizleme özelliği ve berraklığıyla adından söz ettiren Saros Körfezi, su altı canlıları ve batıklarıyla dalış turizminde de dikkat çekiyor.
2
Turizmin geliştirilmesi amacıyla Saros Körfezi`nde su altı müzesi çalışmaları kapsamında oluşturulan resifler, yerli ve yabancı dalgıçlardan ilgi görüyor.
3
Çanakkale Savaşları`nın canlandırıldığı yapay resiflerin yanı sıra İbrice Limanı`nın bir mil açığında batırılan Airbus A330 tipi yolcu uçağı, dalış tutkunlarının tercih ettiği noktalardan oluyor.
4
İbrice Limanı`na gelen dalgıçlar, körfezin su altı güzelliklerine tanıklık ediyor.
5
"Su altı canlıları ve balık çeşitliliğimiz çok fazla"
Dalış eğitmeni Ender Özgen, Saros Körfezi`nin temizliği ve su altı zenginliğiyle eşsiz güzellikler barındırdığını söyledi. Körfezde canlı çeşitliliğinin de fazla olduğunu belirten Özgen, “Saros Körfezi, zengin su altı çeşitliliği ve her dalıcıya uygun derinlikler açısından Türkiye’de sayılı dalış noktalarındandır. Saros Körfezi’nde 14 dalış noktamız var. Aynı zamanda yapılan yapay resifler, dünyanın en büyük uçak batığımız, Nusret Mayın Gemisi batığımız bölgemizde mevcut. Çanakkale Savaşları`nın canlandırıldığı yapay resiflerimiz var. Su altı canlıları ve balık çeşitliliğimiz çok fazla. Bu da tüm dalış meraklılarını buraya çekiyor. Tüm dalış meraklılarını Saros Körfezi’ne bekliyoruz” dedi.
6
7
8
9
10
11
12
13
14
Yükleniyor lütfen bekleyiniz
SIRADAKİ GALERİ
Şekilli peteklerle sattığı coğrafi işaretli meşe balının tanıtımına katkı sunuyor